Crkva u svijetu

03.10.2015., 08:47
„Imamo 29 identificiranih mrtvih tijela i jedno neidentificirano“, izjavio je zapovjednik operacija spašavanja Sergio Cabanas. Broj bi se mogao povećati sljedećih sati zbog velikog broja nestalih procijenjen na oko 600.
02.10.2015., 20:58
Američka obalna straža i spasilačke ekipe tragaju za teretnim brodom koji je prevozio automobile, dugim 224 metra s 33 člana posade „koji je izvijestio da ga je zahvatio uragan Joaquin, blizu Crooked Islanda na Bahamima“, navodi se u priopćenju obalne straže.
02.10.2015., 17:42
U njemu se nalazilo troje članova posade i sedam putnika, od kojih troje djece koja su iz Masambe putovala u Makassar.
02.10.2015., 16:43
Predsjednica Republike Hrvatske Kolinda Grabar-Kitarović održala je u četvrtak 1. listopada, predavanje na Sveučilištu Columbia u New Yorku na temu „Leadership and Shifting Plates of Global Order.“
02.10.2015., 14:20
Rusko ministarstvo obrane objavilo je u petak da su zrakoplovi Suhoj-34 uništili zapovjedni centar IS-a i centar za obuku pobunjenika u Siriji, izvijestili su ruski mediji.
02.10.2015., 12:27
Turska i njezini partneri u koaliciji predvođenoj SAD-om u borbi protiv sunitskih ekstremista Islamske države (IS) pozvali su 2.
01.10.2015., 20:00
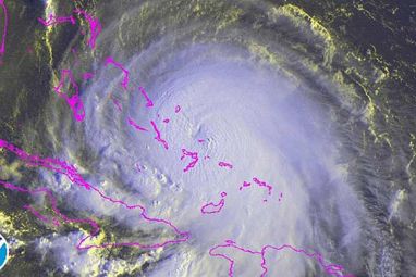
„No promjena smjera očekuje se na sjeverozapadu i na sjeveru u petak 2. listopada. Joaquin je uragan 3. skupine i možda će ojačati u iduća 24 sata“, upozorili su stručnjaci Američkog središta za nadzor uragana (NHC) sa sjedištem u Miamiju.
01.10.2015., 13:40
Irske katoličke crkve sve su praznije, a svećenička zvanja u dubokoj su krizi.
01.10.2015., 12:55
Brzinom od 195 kilometara na sat uragan Joaquin kretao se 1. listopada prema Bahamima nakon što je prešao u kategoriju 3 na ljestvici od pet, a krajem tjedna bi, kako strahuju američke vlasti, mogao zaprijetiti istočnoj obali SAD-a.